プーケットの海へようこそ
今日のお客様はプーケット初ダイビングのお客様T様。
早速、行ってみよう。
100万ドルの笑顔。
ナイスイン!
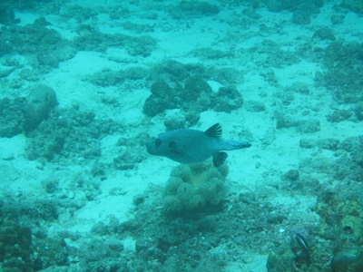
早速、コクテンフグがお出迎え。
何やら捜索中。
クマノミちゃん発見!
スカンクアネモネーさんを撮る撮る。
でも、恥ずかしがり屋さんであまり出てきてくれません。
思い出を撮る撮る。
いろんな体勢いでで撮る撮る。
はい、ピース!!
ランチの後も、
撮る撮る。
「こちらがホソフエダイになります。」
撮る撮る。
この子、大好き。
インディアンレッドフィンバタフライフィッシュ。
T様、飛ぶ。
はい来た来た。
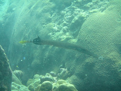
タイワンカマスちゃん
巻くねぇ~!!
タイワンカマスとT様。
このドクウツボデカかったな~。
ツバメウオさんや
クロハコフグの幼魚もいましたよ~>
最後にモヨウフグが4匹も。
じっくり観察して今日のダイビング終了。
カメラのバッテリーは大丈夫だったみたいですね?!
ちゃんと帰ったら充電してくださいね。
そして、充電器忘れないように。
今日はありがとうございました。
明日も楽しんでください。
お電話でお問い合わせのお客様へ==
ショップスタッフが留守の場合4コール後に「ツーツー」と
音が鳴り数秒後に外出先の日本人スタッフへ電話がつながります。
お電話を切らずにそのままでお待ちください。
TEL076-284176メール:tokonatsuya@gmail.com
☆ダイビングスタッフ募集☆
いつもクリックありがとうございます。(by常夏屋 )
☆☆☆☆.★★★★★.☆☆☆☆☆.★★★★★.☆☆☆☆☆
【常夏屋ご利用のお客様へ】
●通常500バーツの水中写真サービスを無料でご提供!
↓ ↓ ↓ ↓ ↓ ↓ ↓ ↓ ↓
☆ファンダイビング☆ ☆体験ダイビング☆

パトン・カタビーチ周辺のお勧め店MAPをご提供中。
ガイドブックには載っていない美味しいレストラン
マッサージなどをご紹介。 ご希望の方は、お気軽にどうぞ
=オリジナルTシャツ販売中=
Posted by tokonatsu diver |
Comments (0)




































































